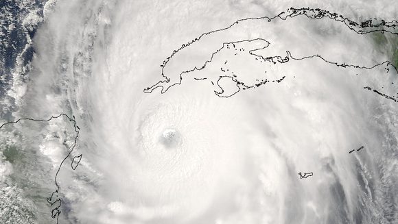
Los meses de septiembre y octubre suelen ser los más peligrosos de la temporada ciclónica. A propósito, en el programa Rumbos, el Dr. Carlos Alberto Miranda Sierra, director del Centro Meteorológico Provincial en Pinar del Río, alertó sobre los riesgos que enfrenta la región en esta etapa del año, a partir de datos históricos y pronósticos actualizados.

Aunque el recién finalizado mes de septiembre se comportó de manera muy tranquila, el experto explicó que en octubre ocurre un cambio radical en las corrientes de procedencia oriental, y eso obliga a mirar con más detenimiento en la región del Caribe.
Desde los primeros días de octubre comienza un recrudecimiento de la actividad ciclónica, con mayor peligrosidad para la región occidental de Cuba. En septiembre, los sistemas venían del Atlántico; ahora, en octubre, se desarrollan en el Caribe, aseveró Miranda Sierra.
Dijo también que la primera quincena representa el mayor peligro para el occidente, y después del día 15, también se incluye la región central del país.
Luis Alberto Rodríguez: novio de la meteorología
Octubre es considerado el mes de los grandes contrastes: el tiempo puede permanecer lluvioso, con cielo cubierto y aspecto amenazador, o imperar el buen tiempo, con temperaturas agradables y un cielo excepcionalmente puro —como ocurrió recientemente.
Esa mejoría se debe a que la nubosidad se ha recogido tras la disipación de dos organismos tropicales que estaban en el Atlántico y que produjeron intensas lluvias en la región oriental del país. Aunque causaron inundaciones, esas lluvias eran muy necesarias, dada la fuerte situación hídrica que enfrentaba esa zona.
Datos históricos y peligrosidad
Estadísticamente, de los 215 ciclones tropicales que han afectado a Pinar del Río en 168 años, septiembre es el mes de mayor frecuencia, con 59 casos (27%). Le sigue muy de cerca octubre, con 56 casos (26%).

Sin embargo, octubre es el mes más peligroso de la temporada ciclónica en la provincia: no solo acumula la mayor cantidad de huracanes (20), sino también la cifra más alta de los clasificados como intensos, con seis de los diez grandes huracanes que han impactado el territorio desde 1851.
Esto significa que hay que prestar mucha atención a todo lo que pueda formarse en el Caribe durante octubre. Estos sistemas se desarrollan, cambian de categoría y se mueven muy rápidamente.
Condiciones actuales y pronósticos
Actualmente, la temperatura superficial del mar es muy alta, y existen condiciones favorables en la atmósfera, con una gran acumulación de energía ciclónica. Aunque septiembre fue tranquilo, toda esa energía acumulada podría desencadenar una explosión ciclónica en octubre. Aún no se insinúa claramente, pero hay que estar atentos, dijo el meteorólogo.
Los pronósticos para octubre indican un ligero incremento del potencial ciclónico en el Golfo de Honduras, con mayor actividad esperada para la segunda quincena del mes. Hay una onda tropical en el Atlántico con un 20% de probabilidad de desarrollo. Aunque aún es baja, se recomienda a la población mantenerse muy atenta a su evolución.
Con respecto al pronóstico para los próximos días, el especialista comentó que se espera un incremento de las lluvias, sobre todo en horas de la tarde, debido a una vaguada prefrontal. Esta se combinará con sistemas del trópico y de latitudes medias, incluyendo un frente frío estacionario que podría conectarse con la vaguada y generar precipitaciones. El calor se mantendrá, y solo se refrescará momentáneamente con las lluvias.
Escuche aquí la comparecencia íntegramente:


